MINUTES

FOR THE GENERAL MEETING
ON SUNDAY 29 JUNE 2003
OF THE LOW MOOR ALLOTMENTS ASSOCIATION
Chair: Al Oswald
Members attending: 24
Also present: Angela Poole (York City Council Allotments Officer); Tom Robinson (Fulford Cross Allotments Secretary, to report on the shop)
1) The shop: report
on progress so far and discussion of future use
Marje Stephenson reported on the shop’s progress, summarised as follows:
· The shop has been open on Wednesday and Sunday mornings since 9 March
· There has been widespread enthusiasm for its re-opening
· Yorkshire Water’s work has caused severe disruption; Al is looking for compensation
· Only a limited amount of stock was ordered at first, to ‘test the water’
· Sales “haven’t been fantastic”, largely due to Yorkshire Water’s work
· Concerns have been voiced about the appearance of the building and its security
· The shop could become a focal point and meeting place for the wider community
· The database of Shop Association members needs sorting out; Marje will be in touch
Tom Robinson gave brief details of the shop account, which is currently in good health to the tune of over £1000, but pointed out that because it is now necessary to pay the account within 30 days, handling the finances is not as easy as it used to be. He reinforced Marje’s down-beat appraisal of this year’s takings so far, and Eddie Watson confirmed that in the past, takings on an average Sunday had been in the region of £125. Tom also agreed strongly that there should be a formal committee of management and ended by exhorting the assembled throng to get involved!
Al confirmed that he had now obtained the forms for obtaining compensation from Yorks Water for lost income and would be pursuing this. He asked if there was still general support for the idea of the shop, and though no formal vote was taken, there was general agreement that the shop was still a good thing. Appreciation was expressed of the hard work put in by Marje, Tom and Barry.
Can we get a wider
range of stock?
Al replied that a list of customers’ ‘wants’ had been compiled. Marje said that she would obtain materials currently cheaper at B&Q and sell them at the same price. Tom also pointed out that by March it was already too late to order some stock from normal sources and that since then, deliveries had been made impossible by Yorks Water; so next year should be better all round from he point of view of improved stock.
When will Yorks
Water’s work be finished? How do they plan to resurface the car park?
Al didn’t know, but has since enquired again, and it will allegedly be finished by mid-August. They have agreed to resurface the car park to a good standard.
2) Elections for the
shop Committee
In the light of the preceding discussion, Al asked who would be prepared to get involved. Marje initially offered to act as Secretary and then, with only slight prompting, agreed to act as Chair. Tom agreed to continue dealing with orders and banking. Kester Clegg (currently Treasurer of the Allotments Association) offered to help out with this. Tim Crosby offered to help out on the Committee as ‘general dogsbody’. Tom promptly scheduled an initial meeting to sort out adding these volunteers as signatories to the account and other matters.
Unanimous vote in
favour of those named above forming a management committee for the shop.
3) Ratification of
the revised Constitution for the LMAA
Al reported that further legal consultation had resulted in one significant change to the draft Constitution which had initially been circulated. He had been advised that it was not legal for the Association to disallow membership/tenancy on any grounds whatsoever, and that it was the responsibility of the Council alone, through the tenancy agreement, to enforce any evictions that might become necessary.
He had also been advised that while he was indeed acting as Secretary on the Council’s behalf, he was actually acting in the capacity of Chair with regard to the Association, and that this should be reflected in the use of the term Chair/Secretary in the Constitution.
Unanimous vote in
favour of ratifying the amended Constitution.
4) Planting of a
perimeter hedge for security: report and discussion
Al reported that £616 of the grant from Fishergate Ward had been spent on the vandal-proof notice boards, the second of which would be erected as soon as Yorkshire Water made the space available. This left sufficient money to complete the hedge planting scheme proposed at the previous meeting.
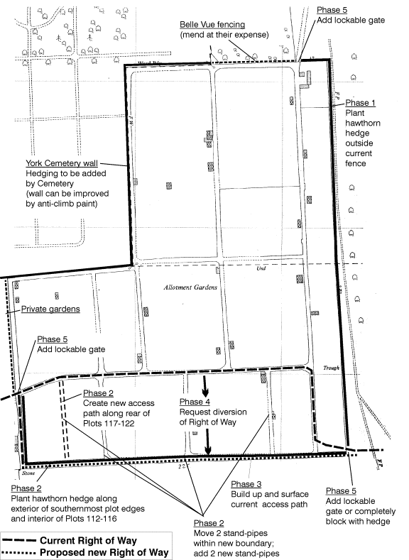
Al suggested that Phase 1 (see map overleaf) – the planting of a hedge along the eastern perimeter – would not be controversial and would prevent people cutting through gaps in the fenceline, which several plotholders on that side had complained about. However, this would not be effective for securing the site as a whole unless we could create a continuous perimeter, with lockable gates; the Police, Mayfair Security and allotment sites elsewhere regard this as essential. To achieve this, we would have to do something about the Public Right Of Way (PRoW) running through the middle of our site. Scarcroft Allotments have fenced either side of a similar path through their site, with numerous gates onto the access paths, but Al suggested that this solution was ugly, less effective and very expensive to purchase and maintain. On 24 June, Al had met Paula Dunn, the Council’s Assistant PRoW Officer, who had confirmed that if we wish to divert the footpath along our path around the southern edge of the site, a Diversion Order could be granted on the grounds that it will bring material benefits to both the tenants and the landowner, providing that the new path is of equal quality to the existing one. She also agreed that the side paths are not PROWS, but access paths for the use of allotment tenants only. She suggested that we put up signs to this effect as a first step. With the PRoW diverted, we could plant a continuous hedge along the whole southern perimeter (Phase 2) and retain only two, or possibly three, lockable gates. The plotholders who would be most adversely affected by this scheme would be those in Plots 112 to 122, who would all stand to lose a narrow strip of ground to the hedge and the new access path which would become necessary. This would be compensated for by a reduction in rent – and by improved security for all the plots south of the path.
Al stressed that this was a long-term plan from which we might see no benefits for several years, but that the work could begin this Autumn, subject to everyone’s agreement. The hedge would then provide an effective barrier for as long as it was maintained – even for several centuries to come.
Who would be
responsible for maintaining the hedge?
Angela Poole responded that the Council would be liable for maintaining the hedge and the costs involved. Al added that the hedge might become a resource for groups to use for traditional hedge-laying courses.
Can we get involved
with the planting?
Yes. Although the British Trust for Conservation Volunteers (BTCV) would provide the materials and most of the labour, volunteers would be welcome to help.
Would it have to be
planted inside our current boundary?
No. The Council’s Head of Parks and Open Spaces, Dave Meigh, had agreed to a slight encroachment beyond our existing boundaries, because of the environmental and aesthetic benefits the hedge would bring.
What about flooding
along the bottom path?
The path would have to be raised and perhaps ditched on the outside to avoid the risk of it flooding as much as possible.
Would the locals be
consulted?
Yes – their support is useful to our security, so we will have to ensure that everyone understands what we’re doing and why.
How much was all
this going to cost?
Al expected the total cost to be in the region of £10,000, but said that in his view the most important thing at this stage was to draw up a good proposal that everyone supported. If people were behind the scheme, raising this amount of money would be possible.
Mark White proposed
that the first phase of the planting go ahead this autumn and that the second
should go ahead subject to us getting funding and approval from all those
involved; this resolution was passed unanimously. If you were not at the
meeting, your comments are still very welcome!
5) Any other
business
Al reported that since the beginning of the year, 42 plots – exactly a quarter of the site - had been taken by new tenants. We are now at 85% occupancy. with 25 plots still vacant. Al suggested that Fishergate Ward newsletter would be used to advertise the site in the Autumn with the offer of free plots till Jan 2004 to increase take-up even further.
Angela Poole reported that Mr and Mrs Tate (Plot 117) had now been formally evicted by Court Order and their shed demolished and destroyed: their possessions – including their crops - were left for a short period for them to claim. Al pointed out that since the eviction order applied to the whole Allotments site, the Tates had no right to be anywhere on the site except for the most direct route to their former plot.
Heather Dawe raised the issue of plots infested with mare’s tail, which she – though a committed organic gardener – believes can only be dealt with using poison. Angela confirmed that the only weed killer that would work would have to be applied by Council workers wearing special protective clothing and that the plots would then have to be left uncultivated for 2 years.
Unanimous vote in
favour of Al identifying the worst infested plots and the Council dealing with
them.
Al asked that everybody should continue to report every single crime incident - even the most minor ones – and promptly, either by contacting him, the police or Mayfair security. Each separate reported will help us get our own dedicated Community Policing officer.
Please let Al know at least two weeks before if you have an issue for the next agenda.
NEXT MEETING: Sunday October
5th, 3pm at the shop,
followed by a ANOTHER BBQ
nearby, since this one was a success!
Al
Oswald
9
Belle Vue Terrace
York
YO10 5AZ
Tel:
639847
If you received these
Minutes by post but have access to e-mail, please contact me at al.oswald@english-heritage.org.uk
